The 17 Sustainable Development Goals (SDGs) were adopted by all United Nations (UN) member states in 2015. The Goals serve as both a call to action and a blueprint to achieve shared peace and prosperity for all people and the … Continue reading
Category: Environment
Tropical Forest Facility and the Conversation on Ways to Value the Environment
At a time when the planet is showing its limits in terms of resources, leaders come together to discuss what’s best to do. Despite historically having been seen as something “to exploit”, the environment now appears as something to protect. … Continue reading
COP30: Updates, Decisions, and Outcomes
A primary agreement reached during COP30 was the Global Mutirão decision, which aims to unite humanity in the fight against climate change, celebrate the 10th anniversary of the Paris Agreement, and call nations to action and increase ambition. This … Continue reading
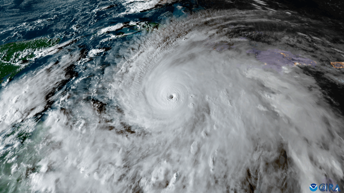
L’ouragan Melissa laisse les Caraïbes en ruines
L’ouragan Melissa, le plus puissant à toucher terre depuis 90 ans, a fait des ravages à travers les Caraïbes, avec un bilan actuel d’au moins 90 morts.
Formation et trajectoire de l’ouragan
Commençant le 13 octobre au large des … Continue reading
Net-Zero Banking Alliance, Formerly Led by Mark Carney, Announces Decision to Shut Down
In his role as UN Special Envoy for Climate Action and Finance, Mark Carney established the Net Zero Banking Alliance before the 2021 UN Climate Change Conference (COP26) in Glasgow, Scotland. The alliance was established to help facilitate the … Continue reading
The Good, the Bad, and the Ugly of Indonesia’s Brand New Capital
Aiming to be the nation’s green city of tomorrow, Nusantara’s construction has already had, and will continue to have, significant environmental impacts.
Indonesia’s capital city, Jakarta, has been bearing the burden of climate change and overcrowding for quite some time. … Continue reading
Trump’s Tariffs and the Clean Energy Backlash
From vehicles to medicinal products, the tariffs imposed by President Trump cover a wide range of goods, impacting economies and lifestyles across the world.
Tariffs have historically been implemented as a protectionist means to bolster the local economy and its … Continue reading
Recent COP16 Talks in Rome: a Positive Future for Biodiversity Goals
On February 28, the global environmental crisis was addressed with a significant new agreement reached at the Conference of the Parties to the Convention on Biological Diversity (COP16) in Rome. Susana Muhamad, Colombia’s Minister of the Environment, was overcome … Continue reading
From Smartphones to AI: The Environmental Costs of Our Tech Addiction
The digital revolution of the last quarter century has fundamentally reshaped society. With the tap of a finger, we can access the world’s information, stream entertainment, and connect with people across the globe. Our fridges can suggest recipes, our workplaces … Continue reading
NVIDIA Stock Crash Implications
The recent DeepSeek announcement disrupted the AI landscape, triggering widespread debate and a historic stock market reaction. DeepSeek is a generative AI platform like ChatGPT, designed for text generation, code writing, and problem-solving using advanced machine learning. NVIDIA, a company … Continue reading