De la Mémoire à l’Avenir : L’Importance du Patrimoine Culturel dans le Développement

L'article met en lumière l'importance du patrimoine culturel dans le développement d’un pays, en soulignant…

The Hidden Security Threats of Climate Change: When Risks Become Reality

In the past decade, the world has experienced several security crises that have required serious…

Drawing Boundaries: Canada’s Housing Crisis and the NIMBY Dilemma

In Canadian cities like Regina, Saskatoon, and Montreal, Quebec, homelessness is increasingly at the center…

COP30: Updates, Decisions, and Outcomes

A primary agreement reached during COP30 was the Global Mutirão decision, which aims to unite…

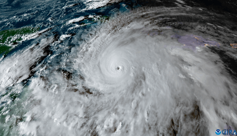
L’ouragan Melissa laisse les Caraïbes en ruines

L’ouragan Melissa, le plus puissant à toucher terre depuis 90 ans, a fait des ravages…

Net-Zero Banking Alliance, Formerly Led by Mark Carney, Announces Decision to Shut Down

In his role as UN Special Envoy for Climate Action and Finance, Mark Carney established…

The Impact of AI-Generated Content on Natural Disaster Response: Hurricane Melissa

When Hurricane Melissa made landfall in Jamaica on October 21, 2025, it marked a dark…

Technology and Discovery as Climate Change Solutions: A Saving Grace, or A Waste of Time?

These technologies and discoveries have the potential to alter the trajectory of the climate crisis…

Preserving the Future: Water, Accountability, and AI

As the artificial intelligence industry expands, so does its ecological footprint. ChatGPT alone uses an…